MENU

WORKS

売物件

WORKS

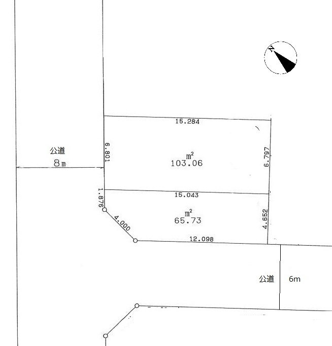
    大阪市港区磯路二丁目土地

    土地(公簿)51.05坪! 角地!

  • 価格 13,500万円
    所在地 大阪市港区磯路二丁目
    交通 大阪メトロ中央線「弁天町」駅 徒歩4分        JR大阪環状線「弁天町」駅 徒歩5分
    権利形態 所有権
    土地面積 168.79㎡
    建ぺい率 / 容積率 80%/300%
    接道 北西側 公道 幅員8m / 南西側 公道 幅員6m
    引渡時期 相談
    用途地域 第一種住居地域威
    備考 更地